Rubiaceae
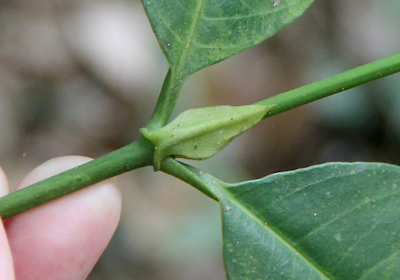
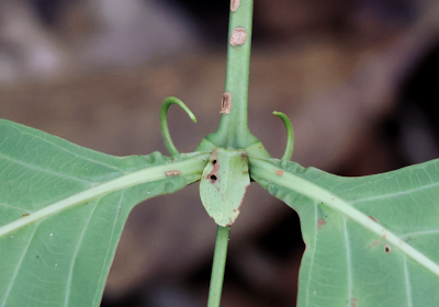
Opposite leaves. Often have unique interpetiolar stipules that are diagnostic. Fourth largest family with about 12,000 species. Most famous species is undoubtedly the Coffee plant.
Aidia densiflora
Wild Randa
Status :
Least Concern
Canthium malayense
Malayan Canthium
Status :
Endangered
Canthium molle
Velvety Canthium
Status :
Critically Endangered
Geophila herbacea
Snake Pennywort
Status :
Endangered
Gynochthodes umbellata
Common Indian Mulberry
Status :
Least Concern
Hedyotis prostrata
Prostrate Hedyotis
Status :
Vulnerable
Ixora congesta
Malayan Ixora
Status :
Least Concern
Ixora finlaysoniana
Fragrant Ixora
Status :
Casual
Ixora pendula
Pink Needles
Status :
Endangered
Lasianthus chryseus
Golden Lasianthus
Status :
Endangered
Morinda citrifolia
Noni
Status :
Least Concern
Morinda elliptica
Black Morinda
Status :
Endangered
Mussaenda glabra
Hairless Mussaenda
Status :
Endangered
Oldenlandia affinis affinis
Kalata-kalata
Status :
Least Concern
Oldenlandia corymbosa
Siku-Siku
Status :
Least Concern
Paederia foetida
Stink Vine
Status :
Least Concern
Pseudomussaenda flava
Dwarf Mussaenda
Status :
Cultivated Only
Psychotria helferiana
Helfer's Pyschotria
Status :
Critically Endangered
Richardia scabra
Rough Mexican Clover
Status :
Naturalised
Scyphiphora hydrophylacea
Chengam
Status :
Endangered
Spermacoce alata
Oval Leaf False Buttonweed
Status :
Naturalised
Spermacoce ocymoides
Basil-like Button Weed
Status :
Presumed Extinct
Uncaria cordata
Heart-shaped Uncaria
Status :
Endangered
Uncaria longiflora
River-bank Grapple Plant
Status :
Endangered
Urophyllum griffithianum
Griffith Urophyllum
Status :
Vulnerable
Urophyllum hirsutum
Hairy Urophyllum
Status :
Vulnerable